Local Service Overview

Get Black Ant Extermination in Arlington, TX

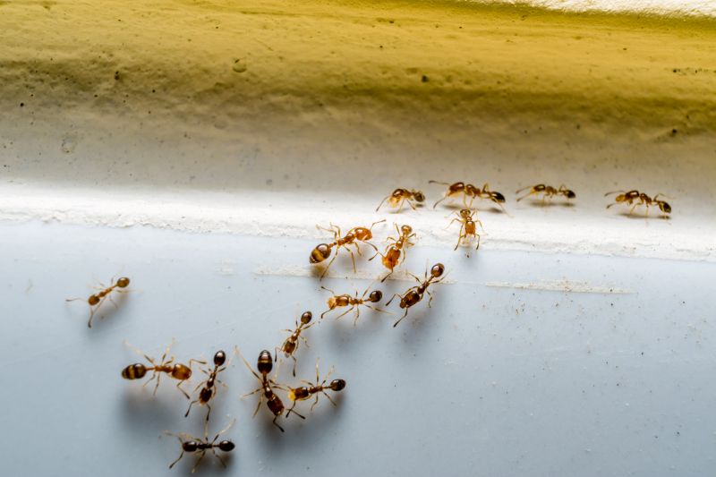
Black Ant Extermination services for Arlington, TX, and nearby areas address ant infestations, prevent future invasions, and handle residential or commercial pest control projects.

Arlington, TX

Black ant extermination services are a practical solution for property owners in Arlington, TX seeking to maintain a comfortable and safe living environment. These services help prevent infestations that can disrupt daily routines, cause property damage, and create discomfort. By addressing ant problems promptly, property owners can enjoy a more functional space free from unwanted pests, reducing the need for ongoing maintenance and repairs caused by ant activity.

Choosing professional ant extermination also enhances curb appeal and durability of outdoor and indoor spaces. Effective pest control can protect landscaping and structural elements from damage, ensuring the property remains attractive and well-maintained. Additionally, a pest-free environment contributes to a sense of safety and comfort, making it easier to enjoy the property without concern over pest-related issues.

Get Black Ant Extermination Quotes

  • Ant Extermination - needed when ants invade kitchens, bathrooms, or outdoor spaces in residential or commercial properties.
  • Carpenter Ant Control - required if wood structures show signs of damage or infestation by carpenter ants.
  • Fire Ant Treatment - necessary for yards and outdoor areas experiencing fire ant mounds or aggressive foraging behavior.
  • Odorous House Ant Removal - sought when these ants are found inside homes or businesses, especially around food sources.
  • Pavement Ant Extermination - appropriate when ants are nesting beneath sidewalks, driveways, or paved surfaces in urban or suburban areas.

Get Black Ant Extermination Quotes

Black Ant Extermination
Black Ant Extermination
Black Ant Extermination

Black ant extermination services focus on identifying and eliminating ant infestations that can invade residential, commercial, and industrial properties. These services typically involve thorough inspections to locate ant colonies and entry points, followed by targeted treatments to eradicate existing ants and prevent future invasions. Service providers may use a combination of baiting, trapping, and chemical applications designed to address the specific species present and the severity of the infestation. Proper treatment aims to remove the ants efficiently while minimizing disruption to the property and its occupants.

Many problems associated with ant infestations include damage to property, contamination of food supplies, and general nuisance caused by persistent ant activity. Certain ant species, such as fire ants or carpenter ants, can pose additional concerns due to their aggressive behavior or potential to cause structural damage. Addressing these issues promptly with professional extermination services can help reduce the risk of ongoing infestations and prevent costly repairs or health concerns linked to ant activity. Effective extermination also involves identifying and sealing entry points to help keep ants from re-entering the property.

Properties that commonly seek black ant extermination include single-family homes, apartment complexes, restaurants, grocery stores, and office buildings. Residential properties often require treatment to protect food storage areas and prevent ant nests from spreading within walls or foundations. Commercial establishments, especially those involved in food handling or storage, prioritize pest control to maintain hygiene standards and comply with health regulations. Additionally, property managers and landlords frequently engage pest control services to manage ant populations across multiple units or common areas.

Professional extermination providers typically tailor their services to the specific needs of each property, considering factors such as size, location, and the extent of the infestation. They may offer ongoing maintenance plans or one-time treatments depending on the situation. Contacting local pest control specialists ensures that appropriate methods are used to effectively manage black ant problems, helping property owners and managers maintain a pest-free environment.

The overview below groups typical Black Ant Extermination projects into broad ranges so you can see how smaller, mid-sized, and larger jobs often compare in Arlington, TX.

In many markets, a large share of routine jobs stays in the lower and middle ranges, while only a smaller percentage of projects moves into the highest bands when the work is more complex or site conditions are harder than average.

Initial Inspection and Treatment - The cost for a basic black ant inspection and treatment typically ranges from $100 to $250, depending on the size of the property. This fee often covers the identification of the ant species and initial application of extermination products.

Ongoing Pest Control Plans - Monthly or quarterly service plans for black ant extermination usually cost between $40 and $70 per visit. These plans include regular treatments to prevent future infestations and may vary based on property size and severity of the problem.

Spot Treatments for Severe Infestations - For localized or severe black ant infestations, spot treatments can cost between $150 and $350 per session. The price depends on the extent of the infestation and the treatment methods used by local service providers.

Additional Services and Follow-ups - Follow-up visits or specialized treatments, such as baiting or barrier application, generally range from $50 to $200 each. Costs vary based on the complexity of the infestation and the service provider’s pricing policies.

Actual totals will depend on details like access to the work area, the scope of the project, and the materials selected, so use these as general starting points rather than exact figures.

Get a Black Ant Extermination Quote

Black Ant Extermination services are essential for addressing infestations in residential and commercial properties, helping to eliminate colonies and prevent future invasions.

Local pest control providers specializing in black ant removal offer targeted treatments to effectively reduce ant populations and protect structures.

Professional exterminators utilize various methods, including baiting and barrier treatments, to control black ant activity around homes and businesses.

Services may include inspection, identification of ant species, and customized treatment plans to ensure comprehensive eradication.

Expert providers can advise on preventative measures to minimize the risk of black ant re-infestation in Arlington, TX, and nearby areas.

Contacting local pest control specialists ensures prompt and effective solutions for black ant problems in various property types.

Black Ant Extermination

When selecting a professional for Black Ant Extermination services, experience is a key factor to consider. Homeowners should look for service providers who have a proven track record in pest control, particularly with ant infestations. It’s beneficial to inquire about the number of years a contractor has been operating in the local area, as well as their familiarity with the specific challenges posed by Black Ants in regions like Arlington, TX. Experienced pros are more likely to understand effective treatment methods and be able to address complex infestations efficiently.

Clear communication and well-defined written expectations are important when working with pest control providers. Homeowners should seek providers who are transparent about their service procedures, what clients can expect during and after treatment, and any necessary follow-up steps. A reputable local professional will be willing to provide detailed explanations and answer questions thoroughly, ensuring that homeowners are well-informed about the process and outcomes before any work begins.

Reputable references and reliable reputation are essential indicators of a trustworthy pest control service. Homeowners are encouraged to ask for references or testimonials from previous clients in the local area to gauge the quality of service. Additionally, researching online reviews and ratings can offer insights into the consistency and professionalism of a provider. Good communication, responsiveness, and a history of satisfied customers help ensure that the selected local pros are dependable and capable of effectively managing Black Ant extermination needs.

Get a Black Ant Extermination Quote

Property owners in Arlington, TX use Black Ant Extermination services for practical projects around their homes and businesses. The sections below highlight everyday jobs and straightforward project options.

Black Ant Extermination
Black Ant Extermination

Black ant extermination services are commonly sought by property owners in Arlington, TX who are dealing with persistent ant infestations. These insects can invade homes and businesses, often nesting in wall voids, foundations, or outdoor areas, leading to concerns about damage or hygiene. Local service providers offer targeted treatments to eliminate ant colonies and prevent future outbreaks, helping property owners maintain a clean and pest-free environment.

Many property owners turn to extermination services when they notice increased ant activity around their property or after discovering visible trails and nests. Ant problems can become more problematic during warmer months, prompting residents and business owners to seek professional assistance for effective and lasting solutions. Connecting with local pest control experts can help address these everyday situations efficiently and restore comfort to Arlington properties.

Get a Black Ant Extermination Quote

Why are black ants attracted to my home? Black ants are drawn to food sources, moisture, and shelter, making homes and kitchens common areas for infestations.

What are common signs of a black ant infestation? Signs include visible ant trails, small piles of dirt or debris near entry points, and finding ants in kitchen or bathroom areas.

How do pest control professionals typically eliminate black ants? Pros use targeted treatments such as baits, sprays, and barriers to effectively reduce and control black ant populations.

Are there preventative measures to keep black ants away? Sealing entry points, removing food sources, and eliminating moisture can help prevent future infestations.

How can I find local black ant extermination services? Contact local pest control providers specializing in ant removal to schedule inspections and treatments in Arlington, TX, and nearby areas.

Black Ant Extermination Techniques - Learn about effective methods used by local service providers to eliminate black ants from residential and commercial properties.

Preventive Strategies - Discover how professionals can help identify and address entry points and attractants to reduce future ant infestations.

Signs of Black Ant Infestation - Understand common indicators that suggest the presence of black ants and when to seek professional assistance.

Choosing Local Extermination Services - Find tips for selecting experienced providers who specialize in ant control to ensure effective treatment.

Black Ant Extermination

Considering Black Ant Extermination for a property in Arlington, TX? The sections above highlight common project types, practical options, and details that often shape the scope of work.

When you are ready, use the quote form to share a few details about your project. Local pros can review the basics and respond with options that match what you have in mind.

Get a Black Ant Extermination Quote

Black Ant Extermination Quotes

Our Trusted Partners
Cantu Pest Control
Orkin
Hawx Pest Control