Local Service Overview

Get Ants Extermination Service in Coppell, TX

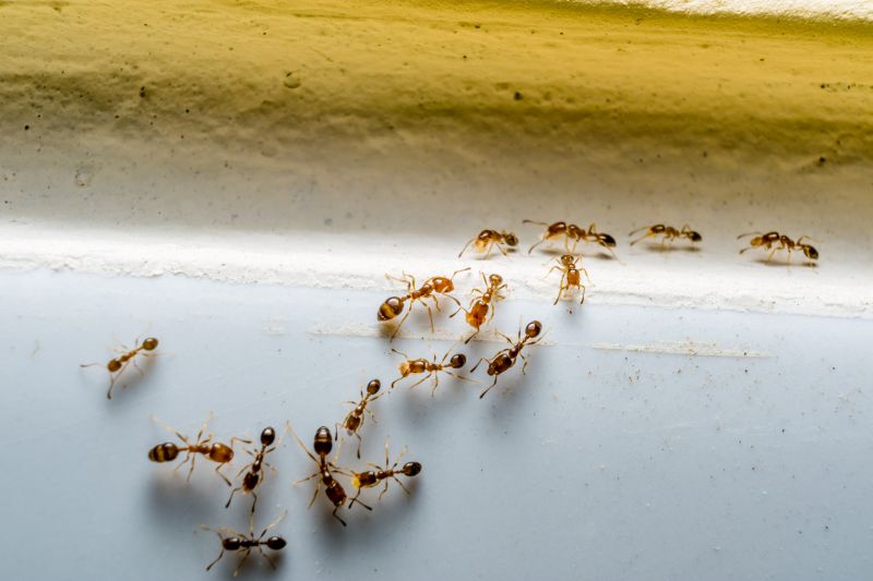
Ants extermination services for property owners in Coppell, TX, and nearby areas address ant infestations, prevent future invasions, and handle residential and commercial pest control projects.

Coppell, TX

Ants extermination services are essential for property owners in Coppell, TX seeking to maintain a comfortable and safe living or working environment. Ant infestations can disrupt daily routines, compromise hygiene, and cause property damage if left unmanaged. Professional extermination helps eliminate these pests efficiently, reducing the risk of recurring issues and minimizing the need for ongoing maintenance. A pest-free property not only enhances safety but also preserves the functionality and durability of structures by preventing damage caused by ant activity.

Engaging with local extermination specialists offers benefits such as improved curb appeal and peace of mind. A property free of ants looks more inviting and well-maintained, which is especially important for homes and businesses in the area. Additionally, effective ant control contributes to a more comfortable environment, allowing residents and visitors to enjoy the space without concern about pests. Proper extermination services support long-term property value and reduce the likelihood of future pest-related problems.

Get Ants Extermination Service Quotes

  • Ants Infestation Control - needed when ants invade indoor living spaces or commercial properties in Coppell, TX and surrounding areas.
  • Ant Removal Services - suitable for situations where ants are persistently present in kitchens, bathrooms, or outdoor areas.
  • Ant Extermination for Residential Properties - required when homeowners notice ant trails or nests around their homes in nearby communities.
  • Commercial Ant Pest Management - necessary for businesses experiencing ant problems that threaten hygiene or customer experience.
  • Ant Barrier Treatments - effective when preventing future ant invasions around homes or commercial sites in the Coppell region.

Get Ants Extermination Service Quotes

Ants Extermination Service
Ants Extermination Service
Ants Extermination Service

Ants extermination services involve the identification and removal of ant infestations within residential, commercial, or industrial properties. Professionals typically conduct thorough inspections to determine the extent of the ant problem and locate their nests. Treatment methods may include the application of targeted insecticides, baiting systems, and barriers designed to eliminate ants at their source and prevent future invasions. These services aim to effectively reduce or eradicate ant populations, helping property owners maintain a pest-free environment.

Ant problems can cause significant nuisance and property damage, especially when colonies establish themselves indoors or near food sources. Ants can contaminate food supplies, create unsanitary conditions, and in some cases, cause structural damage by nesting in wood or insulation. Exterminating ants promptly prevents these issues from escalating and helps maintain a clean, safe living or working space. Professional pest control providers use proven techniques to address both the visible ants and their hidden colonies, ensuring a comprehensive solution.

Properties that commonly utilize ants extermination services include single-family homes, apartment complexes, restaurants, grocery stores, and office buildings. Residential properties often seek assistance when ants invade kitchens, bathrooms, or basements, disrupting daily routines. Commercial establishments, especially those involved in food handling or storage, require regular pest management to meet health and safety standards. Additionally, property managers and landlords frequently engage pest control specialists to address infestations across multiple units or common areas.

Engaging a local pest control service for ants extermination provides access to experienced professionals equipped with the latest treatment options and techniques. These experts assess the specific conditions of each property, recommend appropriate solutions, and implement targeted treatments to eliminate ant colonies effectively. Regular inspections and preventative measures can also be part of ongoing pest management plans, helping property owners maintain a pest-free environment over time.

The overview below groups typical Ants Extermination Service projects into broad ranges so you can see how smaller, mid-sized, and larger jobs often compare in Coppell, TX.

In many markets, a large share of routine jobs stays in the lower and middle ranges, while only a smaller percentage of projects moves into the highest bands when the work is more complex or site conditions are harder than average.

Per-Visit Service - Ant extermination services for a single visit typically range from $100 to $300, depending on the severity of the infestation and property size. This fee covers inspection and targeted treatment to eliminate ants effectively.

Initial Treatment Package - A comprehensive initial treatment often costs between $200 and $500, including multiple visits and follow-up assessments. Prices vary based on property size and ant species involved.

Ongoing Maintenance - Regular ant control maintenance plans can range from $50 to $150 per month, offering periodic inspections and treatments to prevent future infestations. Costs depend on property size and treatment frequency.

Per-Quadrant Pricing - Some providers charge per area or quadrant, with costs typically between $75 and $200 per section. This approach allows for targeted treatment in specific parts of a property.

Actual totals will depend on details like access to the work area, the scope of the project, and the materials selected, so use these as general starting points rather than exact figures.

Get an Ants Extermination Service Quote

Ants Extermination services involve professional treatments to eliminate ant colonies from residential and commercial properties in Coppell, TX and nearby areas.

Local ant extermination contractors use targeted methods to address different types of ant infestations effectively.

These services are suitable for both small-scale indoor ant problems and larger outdoor ant mound issues.

Pros may recommend integrated pest management strategies to prevent future ant invasions.

Ants Extermination services are available for properties experiencing persistent ant activity despite previous efforts.

Contacting local providers ensures tailored solutions to meet specific ant control needs in the Coppell region.

Ants Extermination Service

When comparing ant extermination services in Coppell, TX, homeowners should consider the experience of local service providers. An established provider with a history of handling ant infestations can offer insights into effective treatment methods and proven strategies. While the site introduces multiple local options, it is important to review each contractor’s background to ensure they have relevant experience in managing ant issues specific to residential properties in the area.

Clear communication and well-defined expectations are essential when selecting a local pest control professional. Homeowners should seek providers who can articulate their service approach, outline what the treatment entails, and clarify any preparations or follow-up procedures. This transparency helps set realistic expectations and ensures that the homeowner understands the scope of work involved, contributing to a smoother service experience.

Reputable references and reviews can also serve as valuable indicators of a contractor’s reliability and quality of service. Homeowners are encouraged to request references or seek feedback from past clients to gauge satisfaction levels. While the site helps connect users with local pros, it is advisable to verify each provider’s reputation through independent sources or direct inquiries. Effective communication and a solid reputation are key factors in choosing a pest control service that meets the homeowner’s needs.

Get an Ants Extermination Service Quote

Property owners in Coppell, TX use Ants Extermination Service services for practical projects around their homes and businesses. The sections below highlight everyday jobs and straightforward project options.

Ants Extermination Service
Ants Extermination Service

Ants extermination services are commonly sought after by property owners in Coppell, TX, dealing with persistent ant infestations in residential and commercial spaces. Ants can invade kitchens, pantry areas, and outdoor patios, often attracted by food sources and water. Local service providers can help identify the ant species and implement targeted treatments to eliminate colonies and prevent future invasions, ensuring a cleaner and more comfortable environment.

Property owners may also seek ant extermination when noticing signs of activity such as trails, ant mounds, or damaged plants around their property. In addition to nuisance concerns, some may be worried about potential structural damage or contamination of food supplies. Local professionals offer solutions designed to address these issues effectively, helping residents and business owners maintain pest-free spaces in Coppell, TX.

Get an Ants Extermination Service Quote

How do ant extermination services work? Ant extermination services typically involve inspecting the property, identifying ant species and entry points, and applying targeted treatments to eliminate colonies and prevent future infestations.

Are the treatments safe for pets and children? Many local pros use treatments that are safe when applied properly; it’s recommended to discuss any concerns with the service provider before scheduling.

How long does an ant extermination treatment take? The duration varies depending on the extent of the infestation, but most treatments can be completed within a few hours.

Will I need multiple visits for complete ant control? Some ant issues may require follow-up visits to ensure complete eradication and to address any new entry points.

What should I do before the extermination service? It is generally advised to clear the area around ant entry points and follow any specific preparation instructions provided by the service provider.

Ants Identification and Prevention - Professionals can assess your property to identify ant species and recommend preventive measures to reduce future infestations.

Targeted Ant Extermination - Local service providers offer tailored treatment plans to eliminate ant colonies effectively.

Ongoing Monitoring and Maintenance - Regular inspections and treatments help keep ant problems under control over time.

Integrated Pest Management Solutions - Experts utilize comprehensive strategies to address ant issues while minimizing impact on your environment.

Ants Extermination Service

Considering Ants Extermination Service for a property in Coppell, TX? The sections above highlight common project types, practical options, and details that often shape the scope of work.

When you are ready, use the quote form to share a few details about your project. Local pros can review the basics and respond with options that match what you have in mind.

Get an Ants Extermination Service Quote

Ants Extermination Quotes

Our Trusted Partners
Cantu Pest Control
Orkin
Hawx Pest Control