Local Service Overview

Get Ants Extermination Service in Hutchins, TX

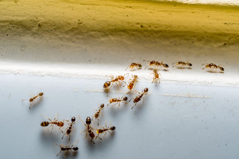
Ants extermination services for property owners in Hutchins, TX, and nearby areas address ant infestations, prevent future invasions, and handle residential and commercial pest control projects.

Hutchins, TX

Ants extermination services in Hutchins, TX provide property owners with an effective solution to manage and eliminate ant infestations. These services help maintain a comfortable living or working environment by reducing the presence of pests that can cause discomfort or disrupt daily activities. Additionally, professional extermination can protect structures from potential damage caused by ants, such as structural weakening or contamination of food supplies, thereby enhancing the safety and functionality of the property.

Property owners often seek ants extermination to improve curb appeal and reduce ongoing maintenance needs. A pest-free property appears well-maintained and inviting, which can positively influence its overall appearance. Regular extermination efforts also help prevent recurring infestations, minimizing future pest control expenses and preserving the durability of the property’s exterior and interior features. Engaging local service providers ensures tailored solutions that address specific pest issues effectively.

Get Ants Extermination Service Quotes

  • Ants Infestation Control - needed when ants invade residential or commercial spaces in Hutchins, TX and surrounding areas.
  • Ant Nest Removal - required when ant colonies establish beneath lawns, driveways, or building foundations.
  • Preventive Ant Treatments - suitable for property owners seeking to reduce future ant encounters in nearby neighborhoods.
  • Kitchen and Pantry Ant Solutions - essential for homes experiencing ants in food storage areas or food preparation zones.
  • Outdoor Ant Barrier Services - recommended for outdoor spaces like gardens and patios to keep ants from entering indoor areas.

Get Ants Extermination Service Quotes

Ants Extermination Service
Ants Extermination Service
Ants Extermination Service

Ants extermination services involve the identification and removal of ant colonies from residential, commercial, and industrial properties. Professional pest control providers typically conduct thorough inspections to determine the type of ants and the extent of the infestation. Treatment methods may include the application of targeted baits, insecticidal sprays, or dusts designed to eliminate ants at their source. These services aim to reduce ant populations effectively and prevent future invasions, helping property owners maintain a pest-free environment.

The primary problems addressed by ants extermination services include the disruption caused by ant activity, potential damage to property, and the risk of ant-borne bacteria contaminating food and surfaces. Certain ant species, such as carpenter ants, can cause structural damage by burrowing into wood, while others, like fire ants, pose painful stings and health concerns. Professional exterminators use specialized techniques to target the specific ant species present, ensuring comprehensive eradication and minimizing the likelihood of recurring issues.

Properties that typically utilize ants extermination services range from single-family homes and apartment complexes to commercial establishments like restaurants and warehouses. Residential properties often seek treatment for common household ant problems that interfere with daily living. Commercial properties, especially food service and storage facilities, require regular pest management to meet health and safety standards. Additionally, outdoor spaces such as gardens and yards may also be treated to prevent ant colonies from establishing in landscaped areas.

Engaging with local pest control providers for ants extermination offers a tailored approach to managing ant infestations effectively. These professionals assess the unique circumstances of each property, recommend appropriate treatment plans, and implement solutions designed to control and eliminate ants. Contacting experienced service providers ensures that property owners receive expert assistance in maintaining a pest-free environment and preventing future ant-related problems.

The overview below groups typical Ants Extermination Service projects into broad ranges so you can see how smaller, mid-sized, and larger jobs often compare in Hutchins, TX.

In many markets, a large share of routine jobs stays in the lower and middle ranges, while only a smaller percentage of projects moves into the highest bands when the work is more complex or site conditions are harder than average.

Initial Inspection Cost - Typically ranges from $50 to $150 for a professional assessment of ant activity and entry points. Prices may vary based on property size and complexity.

Perimeter Treatment - Expect costs between $100 and $300 to treat the exterior perimeter of a home. Larger properties or high-infestation areas may increase the cost.

Spot Treatments - Single-application spot treatments generally cost between $50 and $200, depending on the size of the affected area and severity of the infestation.

Ongoing Service Plans - Monthly or quarterly maintenance plans typically range from $30 to $75 per visit, with prices influenced by property size and treatment frequency.

Actual totals will depend on details like access to the work area, the scope of the project, and the materials selected, so use these as general starting points rather than exact figures.

Get an Ants Extermination Service Quote

Ants Extermination - Local pest control providers offer specialized services to eliminate ant colonies and prevent future infestations in residential and commercial properties.

Ants Prevention - Pros can implement strategies to identify and seal entry points, reducing the likelihood of ant intrusions in Hutchins, TX, and nearby areas.

Ants Inspection - Professional inspections help locate ant nests and determine the extent of an infestation for targeted treatment solutions.

Ants Barrier Treatments - Service providers can apply barrier treatments around structures to create a protective zone against ant entry.

Ants Baiting Services - Experts utilize baiting systems to effectively control ant populations by attracting and eradicating colonies.

Ants Removal Solutions - Local contractors provide comprehensive removal services to eliminate ants and restore pest-free environments.

Ants Extermination Service

When comparing local professionals for ant extermination services, experience plays a key role in selecting a reputable contractor. Homeowners should consider how long a service provider has been operating in the Hutchins area or nearby communities, as longer-standing businesses often have a deeper understanding of local pest behaviors and effective treatment methods. It’s also beneficial to review any written expectations provided by the pros, including details on treatment approaches, follow-up procedures, and guarantees, to ensure clarity and alignment with homeowner needs.

Reputable references are an important factor when evaluating potential service providers. Homeowners can seek out reviews or testimonials from previous clients, which can offer insights into the quality of work, reliability, and professionalism of the pros. While these references are not directly provided by the lead-generation platform, local service providers often have a portfolio of satisfied customers or references that can be shared during the consultation process. This information helps homeowners gauge the consistency and reputation of the professionals they are considering.

Effective communication is essential when working with local ant extermination specialists. Homeowners should prioritize pros who are transparent, responsive, and willing to answer questions about treatment options, safety precautions, and scheduling. Clear communication helps set expectations and ensures that homeowners feel informed throughout the process. It’s important to remember that the platform connects users with local service providers but does not perform the work itself; therefore, direct interaction with the pros is necessary to assess their communication style and professionalism before making a selection.

Get an Ants Extermination Service Quote

Property owners in Hutchins, TX use Ants Extermination Service services for practical projects around their homes and businesses. The sections below highlight everyday jobs and straightforward project options.

Ants Extermination Service
Ants Extermination Service

Ants extermination services are commonly sought by property owners in Hutchins, TX when they notice persistent ant activity around their homes or businesses. Common situations include encountering ant trails in kitchens, bathrooms, or outdoor areas, as well as seeing large colonies or mounds on the property. These services can help address infestations that threaten to spread or cause damage, especially during warmer months when ants are more active.

Property owners may also seek ant extermination when preparing for events or renovations that involve cleaning or moving furniture, which can disturb hidden colonies. Additionally, ongoing ant issues may prompt residents to look for professional help to prevent future invasions and protect their property from potential damage or nuisance caused by these insects. Local pest control providers offer solutions tailored to the specific needs of homes and businesses in the Hutchins area.

Get an Ants Extermination Service Quote

How do ant extermination services work? Ant extermination services typically involve inspecting the property to identify ant colonies and entry points, then applying targeted treatments to eliminate the ants and prevent future infestations.

Are there different types of ant treatments available? Yes, service providers may use various methods such as baiting, residual sprays, or dusts, depending on the ant species and infestation severity.

How long does an ant extermination treatment last? The duration of effectiveness varies based on the treatment method and environment, but most providers recommend follow-up inspections to ensure continued control.

Will ant extermination services harm pets or children? Professional providers use treatments designed to minimize risk to pets and children, but it's advisable to follow any safety instructions provided after treatment.

How can I prevent future ant problems? Many service providers offer advice on sanitation, sealing entry points, and ongoing monitoring to help prevent future ant infestations.

Ants Extermination Services - Local pest control providers offer targeted treatments to eliminate ant colonies and prevent future infestations.

Inspection and Identification - Professionals can assess property conditions to identify ant entry points and nesting areas for effective removal strategies.

Preventive Solutions - Service providers recommend ongoing pest management plans to keep ants from returning to residential or commercial properties.

Eco-Friendly Treatment Options - Many local providers utilize environmentally conscious methods to control ants while minimizing impact on the surroundings.

Ants Extermination Service

Considering Ants Extermination Service for a property in Hutchins, TX? The sections above highlight common project types, practical options, and details that often shape the scope of work.

When you are ready, use the quote form to share a few details about your project. Local pros can review the basics and respond with options that match what you have in mind.

Get an Ants Extermination Service Quote

Ants Extermination Quotes

Our Trusted Partners
Cantu Pest Control
Orkin
Hawx Pest Control