Local Service Overview

Get Ants Extermination Service in Alvarado, TX

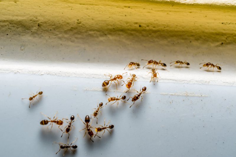
Ants extermination services for property owners in Alvarado, TX, and nearby areas address ant infestations, prevent future invasions, and handle residential and commercial pest control projects.

Alvarado, TX

Ants extermination services provide property owners in Alvarado, TX with effective solutions to manage and eliminate ant infestations. These services help maintain a comfortable living and working environment by preventing ants from invading homes and commercial spaces. Proper extermination can also protect the structural integrity of a property by reducing the risk of damage caused by persistent ant activity, ensuring the space remains functional and safe for everyday use.

Choosing professional ant control services offers several benefits, including enhanced durability of pest prevention efforts and reduced ongoing maintenance needs. Property owners often seek to improve curb appeal by keeping their exteriors free of ant colonies and unsightly signs of pest activity. Reliable extermination helps create a safer, more inviting environment while safeguarding the property's long-term condition.

Get Ants Extermination Service Quotes

  • Ants Extermination - needed when ants invade kitchens or living areas in residential properties.
  • Ants Extermination - required for businesses experiencing ant infestations affecting customer areas.
  • Ants Extermination - necessary when outdoor ant colonies threaten nearby homes or gardens.
  • Ants Extermination - sought after when ant activity is observed in commercial or industrial spaces.
  • Ants Extermination - appropriate for properties in suburban or rural areas facing persistent ant problems.

Get Ants Extermination Service Quotes

Ants Extermination Service
Ants Extermination Service
Ants Extermination Service

Ants extermination services involve identifying and eliminating ant infestations within residential, commercial, or industrial properties. Service providers typically conduct thorough inspections to determine the species of ants and locate their nests and entry points. Treatments may include the application of targeted baits, insecticidal dusts, or sprays designed to eradicate the colony and prevent future invasions. The goal is to reduce ant populations effectively while minimizing disruption to the property’s occupants and environment.

This service addresses common problems associated with ant infestations, such as damage to property, contamination of food supplies, and general nuisance. Certain ant species, like carpenter ants, can cause structural damage by tunneling into wood, while others, such as fire ants, pose health risks through painful stings. Effective extermination not only removes the immediate problem but also helps prevent ongoing issues by sealing entry points and advising on preventive measures.

Ants extermination is frequently sought in a variety of property types, including single-family homes, apartment complexes, restaurants, and retail stores. Residential properties often require treatment in kitchens, basements, or yards where ants are most active. Commercial properties, especially food establishments, prioritize pest control to meet health standards and maintain cleanliness. Industrial facilities with storage areas or warehouses may also need targeted services to manage ant populations that could compromise stored goods or infrastructure.

Professional ant extermination services are designed to provide a comprehensive approach to pest management, tailored to the specific needs of each property. Service providers utilize a range of techniques and products to ensure effective control while adhering to safety standards. Contacting local pest control experts can help property owners and managers address ant problems efficiently, ensuring a pest-free environment for residents, employees, or customers.

The overview below groups typical Ants Extermination Service projects into broad ranges so you can see how smaller, mid-sized, and larger jobs often compare in Alvarado, TX.

In many markets, a large share of routine jobs stays in the lower and middle ranges, while only a smaller percentage of projects moves into the highest bands when the work is more complex or site conditions are harder than average.

Initial Inspection and Treatment - The cost for an initial ant inspection and treatment typically ranges from $100 to $300, depending on the property size and ant severity. For example, a small home in Alvarado, TX, might fall toward the lower end of this range, while larger properties may be higher.

Perimeter Pest Control Service - Ongoing perimeter treatments to prevent ant infestations usually cost between $50 and $150 per visit. A standard treatment for a typical residence can be around $75, with prices varying based on the extent of coverage needed.

Localized Spot Treatments - Spot treatments targeting specific ant nests or problem areas generally range from $50 to $200 per session. The exact price depends on the number of nests and the level of infestation present on the property.

Annual Service Plans - Annual ant extermination plans can cost between $300 and $600, offering scheduled treatments throughout the year. These plans are designed to maintain ant-free conditions and vary based on property size and treatment frequency.

Actual totals will depend on details like access to the work area, the scope of the project, and the materials selected, so use these as general starting points rather than exact figures.

Get an Ants Extermination Service Quote

Ants Extermination services involve professionals who identify ant infestations and implement targeted treatment plans to eliminate colonies effectively.

Residential Ant Control providers focus on removing ants from homes and living spaces to prevent further invasions and property damage.

Commercial Ant Extermination specialists offer solutions tailored to business environments, ensuring minimal disruption while addressing ant problems.

Eco-Friendly Ant Treatments options are available from local service providers who utilize environmentally conscious methods to control ant populations.

Preventive Ant Management services include inspection and sealing of entry points to reduce the likelihood of future ant invasions.

Emergency Ant Control providers are available to address urgent ant infestations that require immediate attention to prevent escalation.

Ants Extermination Service

When comparing ant extermination services, experience is a key factor to consider. Local pros with a proven track record in ant control often possess extensive knowledge of common ant species and effective treatment methods specific to the Alvarado, TX area. Reviewing the backgrounds of different providers can help identify those with a history of successful interventions, which may indicate a higher likelihood of addressing unique ant problems effectively. It is also beneficial to look for references or testimonials from previous clients, as these can offer insights into the quality and reliability of their services.

Clear communication and well-defined expectations are important when selecting a pest control provider. Reputable local pros typically provide detailed information about their approach, what clients can expect during and after treatment, and any necessary follow-up procedures. Open lines of communication foster understanding and ensure that homeowners are informed about the process, potential outcomes, and any precautions they should take. This transparency helps establish trust and reduces surprises throughout the service experience.

Reputable references and positive feedback from other homeowners in the community can serve as valuable indicators of a provider’s dependability. Local pros who are well-regarded often have a history of satisfied clients, which can be verified through reviews or recommendations. Effective communication, from initial contact to completion of the service, is also a hallmark of reputable providers. They typically respond promptly to inquiries, provide comprehensive explanations, and are willing to address any questions or concerns homeowners may have, contributing to a smoother and more transparent pest control experience.

Get an Ants Extermination Service Quote

Property owners in Alvarado, TX use Ants Extermination Service services for practical projects around their homes and businesses. The sections below highlight everyday jobs and straightforward project options.

Ants Extermination Service
Ants Extermination Service

Ants extermination services are commonly sought by property owners in Alvarado, TX, when ants become a persistent nuisance around their homes or businesses. Common situations include noticing ant trails in kitchens, bathrooms, or outdoor spaces, especially during warmer months when ant activity increases. Property owners may look for professional assistance to eliminate existing infestations and prevent future problems that can disrupt daily routines or compromise hygiene.

In addition to visible ant activity, property owners might seek extermination services to address concerns about potential structural damage or contamination, particularly if ants are invading food storage areas or electrical components. Routine inspections and targeted treatments from local pest control providers can help maintain a pest-free environment, reducing the likelihood of recurring issues and ensuring peace of mind for residents and business operators alike.

Get an Ants Extermination Service Quote

How do ant extermination services work? Ant extermination services typically involve inspecting the property to identify ant colonies and entry points, then applying targeted treatments to eliminate existing ants and prevent future infestations.

Are ant treatments safe for pets and children? Most professional ant extermination treatments are designed to be safe for pets and children when applied by experienced service providers, but it's recommended to follow any specific safety instructions provided by the technician.

How long does an ant extermination treatment last? The duration of effectiveness can vary depending on the treatment method and the extent of the infestation, with many services offering ongoing prevention options.

Can ant extermination services prevent future infestations? Yes, many services include preventative measures and advice to help reduce the likelihood of ants returning to the property.

How can I prepare my home for ant extermination services? Preparation may involve clearing the area around entry points, removing food and water sources, and following any specific instructions provided by the service provider to ensure effective treatment.

Ants Identification and Prevention - Local professionals can assess your property to identify ant species and recommend preventive measures to reduce future infestations.

Targeted Ant Extermination - Experienced service providers utilize effective treatments to eliminate ant colonies and control infestations promptly.

Inspection and Monitoring - Regular inspections by local pros help detect early signs of ant activity and prevent larger infestations from developing.

Customized Treatment Plans - Service providers can develop tailored strategies based on the specific ant problem and property layout.

Ants Extermination Service

Considering Ants Extermination Service for a property in Alvarado, TX? The sections above highlight common project types, practical options, and details that often shape the scope of work.

When you are ready, use the quote form to share a few details about your project. Local pros can review the basics and respond with options that match what you have in mind.

Get an Ants Extermination Service Quote

Ants Extermination Quotes

Our Trusted Partners
Cantu Pest Control
Orkin
Hawx Pest Control