Local Service Overview

Get Ants Extermination Service in Grapevine, TX

Ants extermination services for property owners in Grapevine, TX, and nearby areas address ant infestations, prevent future invasions, and handle residential and commercial pest control projects.

Grapevine, TX

Ants extermination services provide property owners in Grapevine, TX with effective solutions for managing and eliminating ant infestations. Addressing these pests helps maintain a safe and comfortable living or working environment by preventing the spread of bacteria and reducing the risk of bites or allergic reactions. Proper extermination also supports the durability of structures by protecting wood and other materials from damage caused by persistent ant activity, ultimately reducing ongoing maintenance needs and preserving curb appeal.

Choosing professional ant control services offers several practical benefits. It enhances the overall functionality of outdoor and indoor spaces by preventing ant colonies from disrupting daily activities or damaging landscaping. Additionally, a well-executed extermination can improve the property's appearance, making it more inviting and well-maintained. Property owners often seek these services to enjoy peace of mind, knowing that their property is safeguarded against future ant problems and that their environment remains safe and pleasant.

Get Ants Extermination Service Quotes

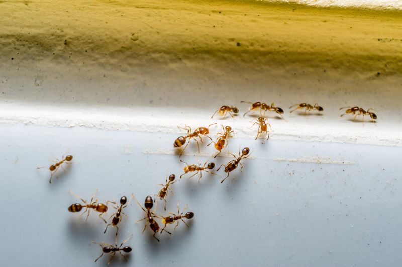
  • Ants Infestation Removal - needed when ants invade kitchens, pantries, or other indoor areas in residential or commercial properties.
  • Ant Control for Outdoor Spaces - required when ants establish nests around lawns, gardens, or building foundations in nearby neighborhoods.
  • Preventive Ant Treatments - useful for homeowners seeking to stop future ant invasions before they occur.
  • Emergency Ant Extermination - necessary when ants quickly spread throughout living or working spaces, causing immediate concerns.
  • Seasonal Ant Management - appropriate for ongoing control during peak ant activity periods in local communities.

Get Ants Extermination Service Quotes

Ants Extermination Service
Ants Extermination Service
Ants Extermination Service

Ants extermination services involve identifying and eliminating ant infestations within residential, commercial, or industrial properties. Professionals typically conduct thorough inspections to locate ant colonies and determine the species involved. Treatment methods may include the application of targeted baits, insecticides, or barriers designed to eradicate existing colonies and prevent future invasions. The goal is to reduce ant populations effectively while minimizing disruption to the property and its occupants.

These services address common pest problems caused by ants, which can include property damage, contamination of food supplies, and general nuisance. Ants often enter buildings in search of food, water, or shelter, and their presence can lead to increased sanitation concerns. Exterminators work to eliminate the source of the infestation, reducing the likelihood of recurring issues and helping to maintain a clean and pest-free environment.

Properties that typically utilize ant extermination services include single-family homes, apartment complexes, restaurants, warehouses, and office buildings. Residential properties are frequently affected by ants seeking food and moisture, especially during warmer months. Commercial properties, particularly those involved in food storage or preparation, prioritize ant control to comply with health standards and ensure customer satisfaction. Industrial facilities may also require specialized treatments to manage larger or more persistent infestations.

Professional ant extermination services are essential for effectively managing infestations that are difficult to resolve with DIY methods. Local pest control providers use a variety of techniques tailored to the specific property and ant species involved. Regular inspections and preventative treatments can help maintain a pest-free environment over time. Contacting experienced exterminators ensures that ant problems are addressed efficiently, reducing potential damage and nuisance caused by these persistent pests.

The overview below groups typical Ants Extermination Service projects into broad ranges so you can see how smaller, mid-sized, and larger jobs often compare in Grapevine, TX.

In many markets, a large share of routine jobs stays in the lower and middle ranges, while only a smaller percentage of projects moves into the highest bands when the work is more complex or site conditions are harder than average.

Initial Inspection Costs - Ant extermination inspections typically range from $50 to $150, depending on the property size and complexity. This fee covers a thorough assessment to identify ant activity and entry points.

Treatment Service Prices - The cost for ant extermination treatments generally falls between $100 and $300 per visit. Prices vary based on the extent of the infestation and the treatment methods used.

Per-Unit or Per-Area Charges - Some service providers charge between $50 and $200 for treating specific areas such as kitchens or outdoor nests. The overall cost depends on the number of areas requiring treatment.

Follow-Up Service Fees - Follow-up visits for ant control often range from $75 to $200, depending on the size of the property and the severity of the infestation. Multiple visits may be recommended for complete eradication.

Actual totals will depend on details like access to the work area, the scope of the project, and the materials selected, so use these as general starting points rather than exact figures.

Get an Ants Extermination Service Quote

Ants Extermination services involve professionals who identify ant infestations and implement targeted treatment plans to eliminate colonies. They help prevent future invasions by applying effective pest control methods tailored to the property.

Ants Extermination Service

When selecting a professional for ant extermination services, experience is a key factor to consider. Local providers often have extensive knowledge of common ant species in the Grapevine, TX area and surrounding communities, which can contribute to more effective treatment strategies. It’s beneficial to review the background of potential service providers to understand their familiarity with local pest issues and their approach to eliminating ant infestations. Reputable contractors typically have a history of working in the community, providing consistent service, and addressing a variety of ant problems.

Clear communication and well-defined expectations are essential when working with a pest control service. Homeowners should seek providers who are transparent about their methods, what treatments entail, and any necessary follow-up procedures. A professional should be willing to answer questions thoroughly and provide guidance on preventive measures. Establishing open lines of communication helps ensure that the homeowner’s concerns are addressed and that the scope of work is understood from the outset.

Reputable references and reviews can offer insight into the reliability and quality of local ant extermination services. Homeowners are encouraged to seek out testimonials or feedback from previous clients to gauge satisfaction levels and the consistency of service. While the site introduces various local options, it is important to verify each provider’s reputation independently. Connecting with trusted service providers who are known for professionalism, responsiveness, and effective solutions can lead to a more satisfactory experience when addressing ant issues.

Get an Ants Extermination Service Quote

Property owners in Grapevine, TX use Ants Extermination Service services for practical projects around their homes and businesses. The sections below highlight everyday jobs and straightforward project options.

Ants Extermination Service
Ants Extermination Service

Ants extermination services are commonly sought by property owners in Grapevine, TX, facing persistent ant infestations that disrupt daily living or compromise property conditions. These professionals address issues such as large ant colonies invading kitchens, basements, or outdoor spaces, helping to restore comfort and prevent further damage. Homeowners and business owners often turn to local service providers to identify the source of the problem and implement targeted solutions to eliminate ants effectively.

In addition to ongoing infestations, property owners may seek ant extermination when preparing for events or seasonal changes that increase ant activity. Preventative treatments can help protect homes and commercial properties from future invasions, especially in areas prone to ant activity due to landscaping or nearby natural habitats. Engaging with local experts ensures that pest issues are managed promptly and appropriately, maintaining the safety and integrity of the property.

Get an Ants Extermination Service Quote

How do ant extermination services work? Ant extermination services typically involve inspecting the affected area, identifying ant species and entry points, and applying targeted treatments to eliminate colonies and prevent future infestations.

Are ant extermination treatments safe for pets and children? Most professional ant treatments are designed to be safe when applied by experienced service providers, but it’s recommended to follow any specific safety instructions provided by the local pros.

How long does an ant extermination treatment last? The duration of effectiveness varies depending on the treatment method and extent of the infestation, with some treatments providing protection for several months.

Can ant extermination services prevent future infestations? Yes, many service providers offer preventative measures and advice to help reduce the likelihood of ants returning to the property.

How can I identify an ant infestation? Signs include visible ants indoors or outdoors, ant trails, and the presence of ant nests or mounds near the property.

Ants Inspection and Identification - Local pest control professionals can assess your property to identify ant species and determine the extent of the infestation.

Customized Treatment Plans - Service providers offer tailored solutions to effectively eliminate ants and prevent future invasions.

Barrier and Baiting Solutions - Experts utilize targeted baiting and barrier methods to control ant populations around your property.

Ongoing Monitoring and Prevention - Professionals can implement strategies to monitor for ant activity and advise on preventive measures.

Ants Extermination Service

Considering Ants Extermination Service for a property in Grapevine, TX? The sections above highlight common project types, practical options, and details that often shape the scope of work.

When you are ready, use the quote form to share a few details about your project. Local pros can review the basics and respond with options that match what you have in mind.

Get an Ants Extermination Service Quote

Ants Extermination Quotes

Our Trusted Partners
Cantu Pest Control
Orkin
Hawx Pest Control