Local Service Overview

Get Ants Extermination Service in Mesquite, TX

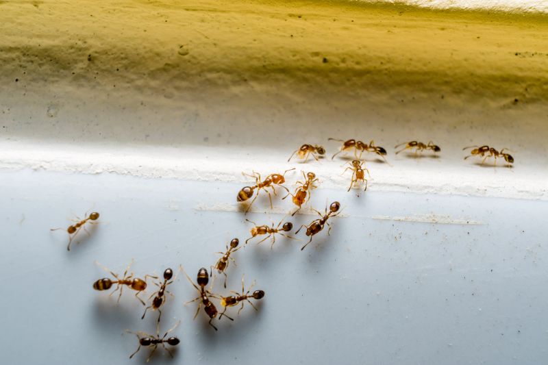
Ants extermination services for property owners in Mesquite, TX, and nearby areas address ant infestations, prevent future invasions, and handle residential and commercial pest control projects.

Mesquite, TX

Ants extermination services are essential for property owners in Mesquite, TX seeking to maintain a safe and comfortable environment. Effective ant control helps prevent infestations that can compromise the safety of residents and damage property structures. By addressing ant problems promptly, property owners can enjoy a more functional living or working space, free from the nuisance and potential health concerns associated with these pests. Additionally, professional extermination can reduce the need for ongoing maintenance, saving time and effort while preserving the property's overall durability and appearance.

Choosing expert ant extermination services also enhances curb appeal by eliminating unsightly ant activity and nests around the property. Well-maintained exteriors free from pest issues contribute to a more attractive and inviting space. Property owners often look for solutions that provide long-lasting results, ensuring their property remains pest-free and visually appealing over time. Engaging local professionals ensures tailored strategies that address specific ant problems effectively, supporting a safe, functional, and attractive environment in Mesquite, TX.

Get Ants Extermination Service Quotes

  • Ants Extermination Services are needed when homeowners or businesses notice ant activity indoors or outdoors in areas such as Mesquite, TX and surrounding regions.
  • Residential properties experiencing persistent ant colonies may require professional extermination to eliminate the infestation effectively.
  • Commercial establishments facing ant issues that threaten hygiene or customer experience often seek specialized pest control services.
  • Properties with ant nests near foundations, gardens, or landscaping can benefit from targeted treatments by local pest control providers.
  • Ant control services are essential for preventing future infestations and maintaining a pest-free environment in both homes and businesses.

Get Ants Extermination Service Quotes

Ants Extermination Service
Ants Extermination Service
Ants Extermination Service

Ants extermination services involve the identification and elimination of ant colonies within residential, commercial, or industrial properties. Professionals typically conduct thorough inspections to locate nests and determine the species of ants involved. Treatment methods may include targeted baiting, residual sprays, or dust applications designed to effectively eradicate the infestation while minimizing impact on the property. These services aim to address ant problems at their source, preventing ongoing issues and reducing the likelihood of future invasions.

Ant infestations can cause a variety of problems for property owners. Aside from the nuisance of swarming ants in kitchens, bathrooms, or other living spaces, certain species can damage structures by nesting in wood or insulation. Additionally, some ants may contaminate food supplies or pose health risks through bites or by spreading bacteria. Ant extermination services help mitigate these concerns by removing colonies and implementing preventative measures to keep the environment ant-free.

Properties that commonly utilize ant extermination services include single-family homes, apartment complexes, restaurants, and retail establishments. Residential properties often seek treatment to eliminate ants from kitchens, gardens, or outdoor living areas. Commercial properties, especially food service businesses, prioritize pest control to maintain hygiene standards and comply with health regulations. In all cases, professional exterminators tailor their approach to the specific property type and infestation severity to ensure effective results.

Engaging with local pest control providers for ant extermination services offers a practical solution to persistent ant problems. These specialists use proven techniques and products designed to remove colonies efficiently. Whether dealing with a minor nuisance or a large-scale infestation, property owners can contact experienced professionals to assess the situation and recommend appropriate treatment options. Proper pest management can help restore comfort and safety to any affected property.

The overview below groups typical Ants Extermination Service projects into broad ranges so you can see how smaller, mid-sized, and larger jobs often compare in Mesquite, TX.

In many markets, a large share of routine jobs stays in the lower and middle ranges, while only a smaller percentage of projects moves into the highest bands when the work is more complex or site conditions are harder than average.

Initial Inspection - The cost for an ant inspection typically ranges from $50 to $150, depending on the property size and complexity. This fee covers identifying ant types and entry points. Some service providers include the inspection in the overall treatment cost.

Basic Treatment - A standard ant extermination service usually costs between $100 and $300. The price varies based on the extent of the infestation and the treatment method used. Larger or more severe infestations may require additional treatments, increasing the overall cost.

Barrier or Baiting Program - Implementing baiting or barrier treatments can cost between $150 and $400. These methods often involve multiple visits and specialized products to ensure long-term control. The cost depends on property size and the number of treatment rounds needed.

Follow-Up Services - Follow-up treatments generally range from $75 to $200 per visit. Regular follow-ups may be recommended to ensure complete eradication, especially in persistent cases. Pricing varies based on the frequency and scope of the follow-up plan.

Actual totals will depend on details like access to the work area, the scope of the project, and the materials selected, so use these as general starting points rather than exact figures.

Get an Ants Extermination Service Quote

Ants Extermination services involve professional removal of ant infestations in residential and commercial properties. Local service providers use targeted methods to eliminate ants and prevent future invasions.

Ants Control solutions focus on identifying ant entry points and applying effective treatments to reduce ant populations. Experts tailor treatments to specific ant species and property types.

Ants Pest Management includes integrated approaches to control and monitor ant activity, ensuring long-term suppression of ant colonies. Local pros offer ongoing maintenance plans for persistent issues.

Ants Inspection Services involve thorough assessments to locate ant nests and entry points, providing detailed reports to guide effective treatment strategies. Inspections help identify the extent of ant problems.

Ants Baiting Services utilize bait stations to attract and eliminate ants at their source, minimizing chemical use and targeting the entire colony. Local providers recommend baiting as part of comprehensive pest control.

Ants Prevention Services focus on sealing entry points and implementing barriers to keep ants from entering properties. Preventative measures are key to maintaining an ant-free environment over time.

Ants Extermination Service

When comparing local pros for ant control services, experience is an important factor to consider. Homeowners should look for providers with a proven track record in ant extermination within their area, such as Mesquite, TX, and nearby communities. Experienced contractors are often familiar with common ant species and effective treatment methods, which can contribute to more efficient and lasting results. It’s beneficial to review the background of each service provider to understand their expertise in handling ant infestations specific to the local environment.

Clear communication and written expectations are essential when selecting a pest control provider. Reputable local pros typically provide detailed service descriptions, outlining the scope of work, treatment procedures, and any necessary preparations. Homeowners should seek providers who are transparent about what to expect during and after the service, and who are willing to answer questions or clarify procedures. Establishing clear expectations helps ensure that both parties are aligned on the process and can contribute to a smoother experience.

Reputable references and reliable communication channels are key indicators of a trustworthy service provider. Homeowners can ask for references or reviews from previous clients to gauge the quality of service delivered. Additionally, consistent and professional communication from the contractor-whether through email, messaging, or consultation-can reflect their commitment to customer satisfaction. While the information below introduces local options, it’s important to contact each pros’ office directly to verify their reputation and ensure they meet personal standards for professionalism and responsiveness.

Get an Ants Extermination Service Quote

Property owners in Mesquite, TX use Ants Extermination Service services for practical projects around their homes and businesses. The sections below highlight everyday jobs and straightforward project options.

Ants Extermination Service
Ants Extermination Service

Ants extermination services are commonly sought by property owners in Mesquite, TX, facing persistent ant infestations in residential or commercial spaces. These pests often invade kitchens, pantries, and other areas where food is stored, creating nuisances and potential health concerns. Local service providers can assist with identifying the source of ant problems and implementing effective treatment methods to help restore comfort and cleanliness to affected properties.

Property owners might also look for ant extermination services after noticing increased ant activity during warmer months or following recent construction or landscaping work. In these situations, ants may find new entry points or establish new colonies nearby. Professional extermination specialists can evaluate the property, recommend appropriate solutions, and help prevent future infestations, ensuring a pest-free environment for residents and businesses alike.

Get an Ants Extermination Service Quote

How do ant extermination services work? Ant extermination services typically involve identifying the ant species, locating nests, and applying targeted treatments to eliminate the colony effectively.

Are ant extermination treatments safe for pets and children? Most professional ant treatments are designed to be safe when applied by experienced service providers, but it’s recommended to follow any specific safety instructions provided by the local pros.

How long does an ant extermination treatment usually last? The duration of effectiveness can vary depending on the treatment method and ant species, but many services provide ongoing monitoring options for continued protection.

Can ant extermination prevent future infestations? Yes, professional services often include recommendations and treatments to help prevent future ant problems in the treated area.

How can I prepare my home for ant extermination services? Preparing typically involves removing food and clutter near entry points and informing the service provider of any known ant activity to facilitate an effective treatment.

Ants Identification and Inspection - Local pest control providers can assess your property to identify ant species and determine the extent of the infestation.

Targeted Ant Extermination Treatments - Professionals offer effective treatment options designed to eliminate ants and prevent future invasions.

Preventive Ant Control Strategies - Service providers can recommend and implement measures to reduce the likelihood of ant re-entry and nesting.

Ongoing Monitoring and Maintenance - Experts can establish plans for regular inspections to ensure ant problems remain under control.

Ants Extermination Service

Considering Ants Extermination Service for a property in Mesquite, TX? The sections above highlight common project types, practical options, and details that often shape the scope of work.

When you are ready, use the quote form to share a few details about your project. Local pros can review the basics and respond with options that match what you have in mind.

Get an Ants Extermination Service Quote

Ants Extermination Quotes

Our Trusted Partners
Cantu Pest Control
Orkin
Hawx Pest Control