Local Service Overview

Get Ants Extermination Service in Johnson County, TX

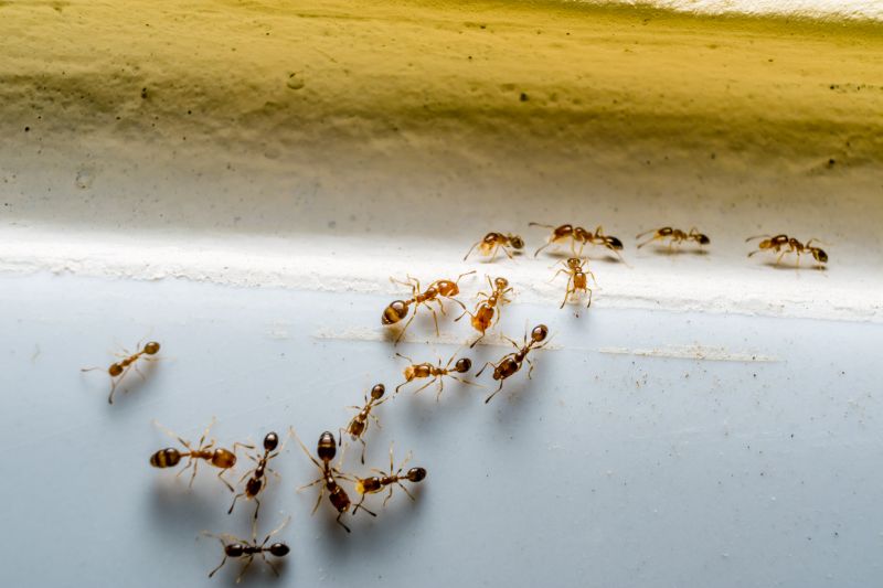
Ants extermination services for Johnson County, TX, and nearby areas address ant infestations in residential and commercial properties, including treatment and prevention projects.

Johnson County, TX

Ants extermination services in Johnson County, TX are essential for property owners seeking to maintain a comfortable and safe living environment. Ant infestations can disrupt daily routines, cause property damage, and create health concerns, making professional treatment a practical solution. Local service providers focus on effective methods to eliminate colonies, helping residents enjoy a pest-free space that supports overall comfort and peace of mind.

Choosing expert ant extermination also offers benefits related to the durability and functionality of a property. Proper removal reduces the likelihood of recurring issues, which can lower maintenance needs and preserve the integrity of structures. Additionally, a pest-free exterior enhances curb appeal, contributing to the property's overall appearance and value. Engaging experienced local pros ensures that ant problems are addressed efficiently and reliably.

Get Ants Extermination Service Quotes

  • Ants Extermination Services

  • Ant Infestation Control - Needed when ants invade homes or businesses in Johnson County, TX and surrounding areas.
  • Kitchen Ant Removal - Required when ants are found in food preparation or storage areas.
  • Outdoor Ant Barrier Treatments - Suitable for preventing ant colonies from establishing around residential or commercial properties.
  • Carpenter Ant Extermination - Necessary when wood structures show signs of ant activity or damage.
  • Persistent Ant Problem Solutions - Sought when recurring ant issues occur despite previous attempts at control.

Get Ants Extermination Service Quotes

Ants Extermination Service
Ants Extermination Service
Ants Extermination Service

Ants extermination services involve targeted treatments designed to eliminate ant colonies and prevent future invasions. These services typically include thorough inspections to identify the extent of the infestation, followed by the application of specialized insecticides or baiting systems. The goal is to effectively reduce ant populations and address the root of the problem, ensuring that the pests do not return. Depending on the severity of the infestation, treatments may be performed inside the property, outside around the foundation, or both, to create a barrier that deters ants from entering.

Ant problems can cause significant inconvenience and property damage, especially when ants invade kitchens, pantries, or stored food areas. Some species, such as carpenter ants, can also compromise the structural integrity of wooden elements in a building. Extermination services help resolve these issues by removing existing colonies and implementing preventative measures. This reduces the likelihood of recurring infestations, which can become persistent and difficult to manage without professional intervention.

Properties that typically utilize ants extermination services include residential homes, especially those with gardens or wooded areas nearby, as well as commercial buildings like restaurants, grocery stores, and warehouses. Multi-family dwellings such as apartments or condominiums are also common candidates, given the shared spaces that can facilitate the spread of ants. Additionally, properties with visible ant trails or previous infestations are more likely to seek professional treatment to restore comfort and hygiene.

Engaging with local pest control providers ensures that property owners receive tailored extermination solutions suited to their specific needs. These professionals assess the type of ants present, the extent of the infestation, and the property’s layout to develop an effective treatment plan. Regular inspections and maintenance services can also be recommended to maintain a pest-free environment. Contacting local experts provides a proactive approach to managing ant problems and protecting property value.

The overview below groups typical Ants Extermination Service projects into broad ranges so you can see how smaller, mid-sized, and larger jobs often compare in Johnson County, TX.

In many markets, a large share of routine jobs stays in the lower and middle ranges, while only a smaller percentage of projects moves into the highest bands when the work is more complex or site conditions are harder than average.

Initial Inspection - The cost for an ant inspection typically ranges from $50 to $150, depending on the property size and complexity. This fee covers identifying ant species and nesting areas to determine the appropriate treatment plan.

Perimeter Treatment - Exterior ant treatments generally cost between $100 and $300 per application. Prices vary based on property size, with larger homes requiring more product and labor.

Interior Treatment - Interior ant extermination services usually range from $75 to $200 per visit. This includes targeted application in cracks, crevices, and other common entry points.

Ongoing Monitoring - Follow-up services or ongoing monitoring can cost between $50 and $150 per visit. These services help ensure ants do not return after initial treatment.

Actual totals will depend on details like access to the work area, the scope of the project, and the materials selected, so use these as general starting points rather than exact figures.

Get an Ants Extermination Service Quote

Ants Extermination services involve identifying ant colonies and applying targeted treatments to eliminate infestations effectively.

Local pest control providers specializing in ants can assess property conditions and recommend appropriate extermination methods.

Professional ant removal services often include inspection, treatment, and prevention strategies to reduce future ant problems.

Experts may utilize various techniques such as baiting, spraying, or dusting to control different ant species around residential and commercial properties.

Ants Extermination services are suitable for addressing both indoor and outdoor ant issues in Johnson County and nearby areas.

Contacting local pest control specialists ensures tailored solutions to manage ant infestations efficiently.

Ants Extermination Service

When evaluating ant extermination services, experience is a key factor to consider. Local professionals often have extensive knowledge of the specific ant species prevalent in Johnson County, TX, and surrounding areas. An experienced service provider can identify the root causes of infestations and recommend effective treatment methods based on their familiarity with local conditions. It’s helpful to review the background of potential contractors to understand their history in the community and their familiarity with the unique challenges posed by local pests.

Clear communication and well-defined expectations are essential when working with a pest control provider. Reputable local pros typically offer detailed explanations of their treatment processes, what homeowners can expect during and after the service, and any necessary follow-up actions. Transparent communication helps ensure that homeowners understand the scope of work and any precautions needed, fostering a smoother experience and reducing misunderstandings.

References and reputation play a significant role in selecting a reliable ant extermination service. Homeowners can benefit from seeking out local providers with positive references from previous clients within the community. Reputable professionals often have a track record of consistent service quality, which can be verified through local reviews or recommendations. Since this platform connects users with local pros, it’s advisable to inquire about references and read reviews to gauge the credibility and reliability of potential service providers in the Johnson County area.

Get an Ants Extermination Service Quote

Property owners in Johnson County, TX use Ants Extermination Service services for practical projects around their homes and businesses. The sections below highlight everyday jobs and straightforward project options.

Ants Extermination Service
Ants Extermination Service

Ants extermination services are often sought by property owners in Johnson County, TX, when they notice ant activity around their homes or businesses. Common situations include discovering trails of ants in kitchens, bathrooms, or outdoor areas, which can indicate an ongoing infestation. Property owners may also seek professional assistance if ant colonies are found within wall voids, beneath flooring, or around foundation areas, especially when DIY methods have proven ineffective.

Additionally, residents and business owners might look for ant extermination services to prevent future problems, particularly during warmer months when ant activity tends to increase. Concerns about maintaining a clean and pest-free environment, especially in food preparation or storage areas, can motivate property owners to contact local service providers. Professional extermination can help address these everyday issues and reduce the likelihood of recurring ant problems.

Get an Ants Extermination Service Quote

How do ant extermination services work? Ant extermination services typically involve inspecting the property to identify ant colonies and entry points, followed by applying targeted treatments to eliminate ants and prevent future infestations.

Are ant extermination services safe for pets and children? Many service providers use treatments that are safe when applied as directed, but it’s recommended to discuss any concerns with the local pros before scheduling.

How long does an ant extermination treatment last? The duration of effectiveness can vary depending on the treatment method and the severity of the infestation; local professionals can advise on maintenance or follow-up treatments.

Will I need multiple treatments for a persistent ant problem? Some ant infestations may require more than one treatment session to fully eradicate the colony, especially if the infestation is extensive or hidden.

How can I prevent future ant problems? Local pros often recommend ongoing sanitation, sealing entry points, and regular inspections to reduce the likelihood of future ant invasions.

Ants Identification and Prevention - Local pest control providers can assess your property to identify ant species and recommend effective prevention strategies.

Ant Extermination Methods - Professionals utilize various treatment options to target ant colonies and reduce infestations efficiently.

Ongoing Monitoring Services - Regular inspections can help detect early signs of ant activity and prevent future invasions.

Customized Pest Management Plans - Service providers develop tailored plans to address specific ant problems based on your property’s needs.

Ants Extermination Service

Considering Ants Extermination Service for a property in Johnson County, TX? The sections above highlight common project types, practical options, and details that often shape the scope of work.

When you are ready, use the quote form to share a few details about your project. Local pros can review the basics and respond with options that match what you have in mind.

Get an Ants Extermination Service Quote

Ants Extermination Quotes

Our Trusted Partners
Cantu Pest Control
Orkin
Hawx Pest Control