Local Service Overview

Get Ants Extermination Service in Haltom City, TX

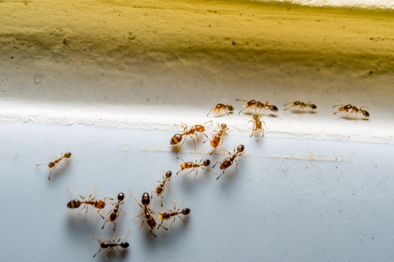
Ants extermination services for property owners in Haltom City, TX, and nearby areas address ant infestations, prevent future invasions, and handle residential and commercial pest control projects.

Haltom City, TX

Ants extermination services provide property owners in Haltom City, TX with an effective solution to manage and eliminate ant infestations. Addressing these pests helps maintain a clean and comfortable living or working environment, reducing the risk of damage to structures, stored goods, and landscaping. Professional extermination can also prevent future invasions, ensuring that properties remain functional and free from disruptions caused by unwanted ant activity.

Choosing expert ant control services offers benefits such as enhanced safety and improved curb appeal. Removing ants promptly can lead to a more inviting appearance for homes and businesses, while also minimizing the potential for pest-related health concerns. Property owners often seek these services to enjoy a more durable, low-maintenance space that remains attractive and comfortable over time.

Get Ants Extermination Service Quotes

  • Ants Extermination - needed when ants invade kitchens, pantries, or other indoor spaces in Haltom City, TX and surrounding areas.
  • Ants Extermination - required if ants are seen in outdoor gardens, yards, or around the foundation of a property.
  • Ants Extermination - necessary when persistent ant trails or mounds appear in residential or commercial landscapes nearby.
  • Ants Extermination - sought after when ant colonies threaten to spread into living or storage areas in Haltom City, TX.
  • Ants Extermination - appropriate if ant activity increases during warmer months in nearby neighborhoods or commercial zones.

Get Ants Extermination Service Quotes

Ants Extermination Service
Ants Extermination Service
Ants Extermination Service

Ants extermination services involve identifying and eliminating ant colonies that have invaded residential or commercial properties. Professionals typically conduct thorough inspections to determine the extent of the infestation and locate the nest sites. Treatment methods may include the application of targeted insecticides, baiting systems, and barriers designed to prevent ants from entering the property. The goal is to effectively reduce or eradicate ant populations while minimizing impact on the surrounding environment.

These services help address common problems caused by ant infestations, such as property damage, contamination of food supplies, and general nuisance. Certain ant species, like carpenter ants, can compromise the structural integrity of wood components, leading to costly repairs. Additionally, ants can be persistent pests that quickly multiply if not managed promptly, making professional intervention a practical solution for homeowners and business owners alike.

Ants extermination services are frequently utilized in a variety of property types, including single-family homes, apartment complexes, restaurants, and retail stores. Residential properties often seek these services to protect food storage areas and maintain cleanliness. Commercial establishments, especially those involved in food service or hospitality, require regular pest management to meet health regulations and ensure a pest-free environment for customers and staff.

Partnering with local pest control providers can ensure that ant problems are addressed efficiently and effectively. These professionals are equipped with the knowledge and tools necessary to handle different levels of infestations across diverse property types. Contacting a local expert can help develop a tailored plan to manage and prevent future ant issues, contributing to a safer and more comfortable living or working space.

The overview below groups typical Ants Extermination Service projects into broad ranges so you can see how smaller, mid-sized, and larger jobs often compare in Haltom City, TX.

In many markets, a large share of routine jobs stays in the lower and middle ranges, while only a smaller percentage of projects moves into the highest bands when the work is more complex or site conditions are harder than average.

Initial Inspection Cost - Typically ranges from $50 to $150 for a professional assessment of ant activity and entry points. Prices can vary based on property size and infestation severity.

Basic Treatment Expenses - Standard ant extermination services usually cost between $100 and $300 per treatment. Larger properties or severe infestations may incur higher charges.

Ongoing Pest Control Plans - Monthly or quarterly service plans generally range from $30 to $70 per visit, depending on the extent of the ant problem and property size.

Additional Service Fees - Extra charges may apply for specialized treatments, such as baiting or barrier applications, with costs typically between $50 and $200 per service.

Actual totals will depend on details like access to the work area, the scope of the project, and the materials selected, so use these as general starting points rather than exact figures.

Get an Ants Extermination Service Quote

Ants Extermination - Local pest control providers offer targeted ant extermination services to eliminate colonies and prevent future invasions in residential and commercial properties.

Ant Infestation Removal - Professionals specialize in identifying ant entry points and applying effective treatments to remove existing infestations in homes and businesses.

Ant Control Treatments - Service providers utilize various treatment methods to control ant populations, ensuring long-term protection against re-infestation.

Ant Barrier Services - Experts install ant barriers around structures to create a physical or chemical defense that deters ants from entering premises.

Ant Nest Elimination - Local pros locate and eradicate ant nests, including those hidden underground or within wall voids, to address the root of the problem.

Preventive Ant Management - Pest control specialists offer ongoing prevention strategies to keep ant populations from returning after initial treatment.

Ants Extermination Service

When comparing local professionals for ant extermination services, experience is a key factor to consider. Homeowners should look for service providers with a proven track record in handling ant infestations within the community, especially in areas like Haltom City, TX. Experienced pros are familiar with common ant species in the region and understand effective treatment methods, which can contribute to more efficient and lasting results. It’s beneficial to review the background of potential contractors, including how long they have been operating locally and their familiarity with local environments and pest behaviors.

Clear communication and written expectations are essential when selecting a pest control provider. Homeowners should seek professionals who provide detailed information about their services, including the scope of work, treatment methods, and any preparations needed before treatment. A reputable local service provider will be transparent about what clients can expect and offer written documentation to confirm these details. This clarity helps ensure that both parties are aligned on the process, reducing misunderstandings and facilitating a smoother experience.

Reputable references and reliable customer feedback are valuable indicators of a trustworthy ant extermination service. Homeowners can ask for references from previous clients or seek online reviews to gauge the quality of service and professionalism. Communication styles also matter; responsive and approachable pros who answer questions thoroughly can make the process more comfortable and less stressful. Since the site introduces local options rather than performing the work directly, it is important for homeowners to evaluate these factors independently when choosing a local pest control provider for ant extermination services.

Get an Ants Extermination Service Quote

Property owners in Haltom City, TX use Ants Extermination Service services for practical projects around their homes and businesses. The sections below highlight everyday jobs and straightforward project options.

Ants Extermination Service
Ants Extermination Service

Ants Extermination Service providers are often sought by property owners in Haltom City, TX, dealing with common pest issues that disrupt daily life. Whether ants are invading kitchens, pantry areas, or outdoor spaces, residents may look for professional solutions to eliminate these persistent insects and prevent future infestations. Local pros can assess the extent of the problem, identify the ant species involved, and recommend targeted treatments to keep homes and businesses ant-free.

In addition to immediate removal, property owners might seek ant extermination services to address recurring problems or to safeguard food storage and structural integrity. Ants can sometimes indicate underlying issues such as moisture problems or entry points that require sealing. Local pest control providers can offer advice on long-term prevention strategies, helping Haltom City residents maintain pest-free environments and avoid the inconvenience of ongoing ant activity.

Get an Ants Extermination Service Quote

How do ant extermination services work? Ant extermination services typically involve inspecting the property to identify ant colonies, applying targeted treatments to eliminate nests, and implementing prevention strategies to reduce future infestations.

Are ant treatments safe for pets and children? Most ant extermination methods are designed to be safe when applied correctly; however, it is recommended to consult with a local service provider about specific safety measures for homes with pets or children.

How long does an ant extermination treatment last? The duration of effectiveness can vary based on the treatment type and extent of the infestation, so contacting a local provider can help determine the best approach for ongoing control.

Can ant extermination services prevent future infestations? Yes, professional treatments often include preventative measures to help keep ants from returning, such as sealing entry points and advising on sanitation practices.

How can I identify an ant infestation? Signs of an ant infestation include visible ant trails, nests in walls or soil, and the presence of ants indoors or around the exterior of the property. Contact a local expert for confirmation and treatment options.

Ants Extermination Solutions - Local service providers offer targeted treatments to eliminate ant infestations and prevent future outbreaks.

Inspection and Identification - Professionals assess property conditions to identify ant species and determine the most effective removal methods.

Preventive Measures - Experts recommend sealing entry points and removing attractants to reduce the likelihood of ant re-infestation.

Ongoing Monitoring - Service providers can establish regular inspections to ensure ant problems remain resolved over time.

Ants Extermination Service

Considering Ants Extermination Service for a property in Haltom City, TX? The sections above highlight common project types, practical options, and details that often shape the scope of work.

When you are ready, use the quote form to share a few details about your project. Local pros can review the basics and respond with options that match what you have in mind.

Get an Ants Extermination Service Quote

Ants Extermination Quotes

Our Trusted Partners
Cantu Pest Control
Orkin
Hawx Pest Control