Local Service Overview

Get Ants Extermination Service in Mansfield, TX

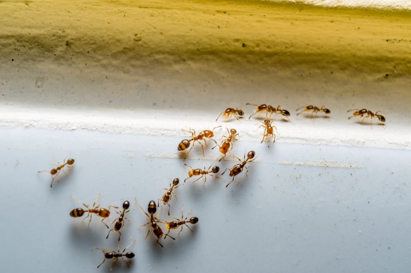
Ants extermination services for property owners in Mansfield, TX, and nearby areas address ant infestations, including removal, prevention, and treatment of common ant problems in residential and commercial properties.

Mansfield, TX

Ants extermination services in Mansfield, TX are essential for property owners seeking to maintain a comfortable and safe environment. Ant invasions can disrupt daily routines and pose health concerns, making professional removal a practical solution. Local service providers focus on effective eradication methods that help preserve the functionality of a property, ensuring that homes and businesses remain free of pests that can cause damage or contamination.

Choosing expert ant extermination offers several benefits, including enhanced curb appeal and reduced maintenance needs. Eliminating ants prevents potential structural damage and minimizes the risk of future infestations, contributing to the durability of the property. Additionally, a pest-free space promotes peace of mind and a more inviting atmosphere for residents and visitors alike.

Get Ants Extermination Service Quotes

  • Ants Extermination - When ants invade kitchens or pantry areas in Mansfield, TX, professional extermination services can help eliminate the colony.
  • Ants Extermination - If outdoor ant mounds are disrupting lawns or garden spaces near Arlington, TX, local pros can address the infestation.
  • Ants Extermination - In cases where ants are nesting inside wall voids or hard-to-reach places in nearby communities, specialized treatment may be needed.
  • Ants Extermination - When ant activity persists despite basic cleaning and deterrents in residential or commercial properties around Grand Prairie, TX, expert services are recommended.
  • Ants Extermination - For recurring ant problems in multi-unit buildings or apartment complexes in the Dallas-Fort Worth area, professional pest control can provide targeted solutions.

Get Ants Extermination Service Quotes

Ants Extermination Service
Ants Extermination Service
Ants Extermination Service

Ants extermination services involve identifying and eliminating ant infestations within residential, commercial, or industrial properties. These services typically include thorough inspections to locate ant colonies and entry points, followed by targeted treatments using specialized products. The goal is to reduce or remove visible ant activity and prevent future invasions, ensuring the property remains ant-free. Professionals may employ various methods such as baiting, dusting, or liquid treatments, depending on the severity of the infestation and the specific ant species involved.

Ant problems can cause significant inconveniences and property damage, especially when colonies are large or hidden within walls, foundations, or other hard-to-reach areas. Ants can contaminate food supplies, create unsanitary conditions, and in some cases, damage structures by nesting in wood or other materials. Extermination services help address these issues by eradicating existing colonies and implementing preventive measures to reduce the likelihood of re-infestation. This can be particularly important in maintaining hygiene standards in food establishments, homes, and other occupied spaces.

Properties that commonly utilize ants extermination services include single-family homes, apartment complexes, restaurants, and warehouses. Residential properties often seek assistance to eliminate ants that have entered kitchens, bathrooms, or basements. Commercial properties, especially those involved in food production or storage, prioritize pest control to meet health and safety regulations. Additionally, property managers and business owners in areas prone to ant activity may regularly schedule treatments to maintain pest-free environments and protect their investments.

Professional ant extermination services are tailored to address the unique needs of each property type and infestation level. Local pest control providers typically offer customized solutions that consider the property's layout, the ant species present, and the severity of the problem. These services aim to provide effective and lasting relief from ant issues, helping property owners maintain a clean, safe, and pest-free environment. Contacting local pros can connect property owners with experienced specialists equipped to handle ant infestations efficiently.

The overview below groups typical Ants Extermination Service projects into broad ranges so you can see how smaller, mid-sized, and larger jobs often compare in Mansfield, TX.

In many markets, a large share of routine jobs stays in the lower and middle ranges, while only a smaller percentage of projects moves into the highest bands when the work is more complex or site conditions are harder than average.

Initial Inspection - The cost for an ant inspection typically ranges from $50 to $150, depending on property size and complexity. This fee often covers a thorough assessment to identify ant activity and entry points.

Basic Treatment - A standard ant extermination service usually costs between $100 and $300. The price varies based on the severity of the infestation and the treatment method used.

Extended Treatment Plans - For ongoing or multiple treatments, costs can range from $200 to $600. These plans often include follow-up visits to ensure complete control of the ant problem.

Specialized Extermination - For larger properties or severe infestations, prices may reach $500 to $1,000. Such services might involve advanced methods or multiple visits by local service providers.

Actual totals will depend on details like access to the work area, the scope of the project, and the materials selected, so use these as general starting points rather than exact figures.

Get an Ants Extermination Service Quote

Ants Extermination services connect residents with local pest control providers who specialize in identifying and eliminating ant infestations effectively.

These services help property owners find professionals experienced in treating various types of ants, including common household species and invasive varieties.

They facilitate access to local experts who utilize proven methods to eradicate ants and prevent future invasions in residential and commercial spaces.

Ants Extermination services enable users to find specialists capable of handling large-scale infestations in both indoor and outdoor environments.

They assist in locating providers skilled in implementing targeted treatments that minimize disruption to daily activities.

These services support connections with local pest control pros who can advise on ant prevention strategies following extermination efforts.

Ants Extermination Service

When selecting a professional for ant extermination services, it’s important to consider the experience of local providers. Many contractors have extensive backgrounds in pest control, with years of handling ant infestations in areas like Mansfield, TX and surrounding communities. An experienced service provider can better identify the specific ant species, understand local pest behaviors, and apply targeted treatment methods. Homeowners are encouraged to inquire about a contractor’s history with similar cases to ensure they have the relevant expertise to address the problem effectively.

Clear communication and well-defined expectations are vital when working with a pest control professional. Reputable local providers typically outline the scope of work, the methods they plan to use, and any preparations homeowners might need to undertake. Establishing open channels for questions and updates helps ensure that the homeowner understands the process and feels confident in the service. Consistent communication also helps prevent misunderstandings and ensures that the project aligns with the homeowner’s needs and concerns.

Reputable references and reviews are valuable resources when comparing local ant extermination services. Homeowners can seek testimonials or feedback from previous clients to gauge the quality of work and reliability of a contractor. While the site introduces local options, it does not endorse specific providers but encourages users to verify references and reviews independently. By considering the reputation and feedback from others in the community, homeowners can make more informed decisions about which local professionals are best suited to address their ant control needs effectively.

Get an Ants Extermination Service Quote

Property owners in Mansfield, TX use Ants Extermination Service services for practical projects around their homes and businesses. The sections below highlight everyday jobs and straightforward project options.

Ants Extermination Service
Ants Extermination Service

Ants extermination services are often sought after by property owners in Mansfield, TX, when they notice signs of an ant infestation, such as visible trails, nests near the foundation, or ants inside the home. These services are useful for addressing common project situations like preventing ants from entering living spaces or eliminating established colonies that threaten the comfort and cleanliness of a property. Local providers can assist with identifying problem areas and implementing targeted treatments to reduce ant activity and protect the property.

Property owners may look for ants extermination work to resolve ongoing issues caused by ants invading kitchens, bathrooms, or storage areas. In addition, infestations that are difficult to control with DIY methods often prompt a professional approach to ensure thorough removal. Local pest control specialists in Mansfield, TX, can offer solutions tailored to specific situations, helping to maintain a pest-free environment and prevent future ant problems.

Get an Ants Extermination Service Quote

How do ant extermination services work? Ant extermination services typically involve inspecting the property to identify ant colonies, applying targeted treatments to eliminate existing ants, and providing advice on preventing future infestations through sanitation and exclusion methods.

Are ant extermination treatments safe for pets and children? Many local service providers use treatments designed to be safe for homes with pets and children, but it is recommended to discuss specific concerns with the chosen contractor before treatment.

How long does an ant extermination treatment last? The duration of effectiveness varies depending on the treatment method and extent of the infestation; some treatments may require follow-up visits for optimal results.

Can I continue using my home during ant extermination services? In most cases, homeowners can remain in the residence during treatments, but it is best to follow the instructions provided by the service provider to ensure safety and effectiveness.

What are common signs of an ant infestation? Signs include visible ants indoors or outdoors, ant trails, discarded wings near windows or doors, and the presence of ant mounds or nests in soil or wood structures.

Ants Identification - Professional pest control specialists can accurately identify ant species to determine the most effective treatment methods.

Targeted Ant Treatments - Local service providers offer specialized solutions to eliminate ant colonies and prevent future infestations.

Infestation Prevention - Experts can advise on sealing entry points and removing attractants to reduce the likelihood of ant re-entry.

Ongoing Monitoring - Regular inspections by pest control professionals help maintain ant-free environments and address new issues promptly.

Ants Extermination Service

Considering Ants Extermination Service for a property in Mansfield, TX? The sections above highlight common project types, practical options, and details that often shape the scope of work.

When you are ready, use the quote form to share a few details about your project. Local pros can review the basics and respond with options that match what you have in mind.

Get an Ants Extermination Service Quote

Ants Extermination Quotes

Our Trusted Partners
Cantu Pest Control
Orkin
Hawx Pest Control