Local Service Overview

Get Ants Extermination Service in Tarrant County, TX

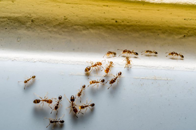
Ants extermination services for Tarrant County property owners address ant infestations, including residential and commercial projects such as kitchens, basements, and outdoor areas.

Tarrant County, TX

Ants extermination services are a practical solution for property owners in Tarrant County, TX who seek to maintain a comfortable and functional living or working environment. Ant infestations can disrupt daily routines, damage structures, and compromise hygiene, making prompt and effective removal essential. Professional exterminators utilize targeted methods to eliminate ant colonies, helping property owners reduce ongoing maintenance needs and prevent future invasions, thereby supporting the durability and overall integrity of the property.

Choosing expert ant extermination services can also enhance curb appeal by ensuring the exterior of a property remains clean and pest-free. A well-maintained landscape free of ant activity not only looks inviting but also contributes to a sense of safety and well-being. Property owners often look for reliable solutions that deliver long-lasting results, allowing them to enjoy a pest-free environment with less worry about recurring issues or damage caused by ants.

Get Ants Extermination Service Quotes

  • Ants Extermination - needed when ants invade homes or businesses in Tarrant County, TX and surrounding areas.
  • Ants Extermination - required if persistent ant trails are found inside residential or commercial properties.
  • Ants Extermination - necessary when ant colonies are detected near outdoor spaces in nearby neighborhoods.
  • Ants Extermination - sought after when ant activity increases during warmer months in local communities.
  • Ants Extermination - essential if ant infestations threaten food storage or cause structural damage in the area.

Get Ants Extermination Service Quotes

Ants Extermination Service
Ants Extermination Service
Ants Extermination Service

Ants extermination services involve professional treatment methods aimed at eliminating ant infestations within residential, commercial, or industrial properties. Service providers typically assess the extent of the ant problem, identify the species involved, and develop targeted plans to eradicate the pests. Treatments may include the application of bait stations, residual sprays, or dusts designed to eliminate ants at their entry points, nesting sites, and along their foraging trails. The goal is to reduce ant populations effectively and prevent future invasions, ensuring a cleaner and more comfortable living or working environment.

These services address common problems caused by ant infestations, such as property damage, contamination of food supplies, and general nuisance. Certain ant species, like carpenter ants, can compromise the structural integrity of wooden structures by nesting within walls or framing. Other species, such as odorous house ants or fire ants, can be a nuisance due to their aggressive behavior and painful stings. Professional extermination helps manage these issues by removing colonies and reducing the likelihood of recurring problems, providing peace of mind for property owners.

Ants extermination services are often utilized in a variety of property types, including single-family homes, apartment complexes, restaurants, and warehouses. Residential properties frequently seek these services to protect food storage areas and maintain hygiene standards. Commercial and industrial properties, especially those involved in food production or storage, require ongoing pest management to adhere to health regulations and prevent disruptions. Additionally, property managers of multi-unit buildings may engage exterminators to address infestations across multiple units efficiently.

Professional ant extermination services are essential for effectively managing persistent ant problems and minimizing property damage or health risks. Service providers employ a range of treatment strategies tailored to the specific needs of each property type and infestation severity. Regular inspections and targeted treatments help maintain pest-free environments, supporting the overall comfort and safety of residents, employees, or customers. Contacting local pest control professionals can provide the expertise needed to address ant issues promptly and thoroughly.

The overview below groups typical Ants Extermination Service projects into broad ranges so you can see how smaller, mid-sized, and larger jobs often compare in Tarrant County, TX.

In many markets, a large share of routine jobs stays in the lower and middle ranges, while only a smaller percentage of projects moves into the highest bands when the work is more complex or site conditions are harder than average.

Initial Inspection - The cost for an ant inspection typically ranges from $50 to $150, depending on the property size and complexity. This fee covers identifying ant species and infestation levels, with some providers including a basic treatment estimate.

Per-Visit Treatment - Ant extermination services often cost between $100 and $300 per visit. Prices vary based on the extent of the infestation and the treatment methods used, with larger properties generally incurring higher fees.

Comprehensive Pest Control - Full ant control packages can range from $200 to $600 for ongoing services. These plans often include multiple treatments and follow-up visits to ensure the infestation is fully managed.

Preventive Treatments - Preventive ant control services typically cost between $150 and $400 annually. These treatments focus on barrier methods and ongoing monitoring to reduce future ant activity around residential or commercial properties.

Actual totals will depend on details like access to the work area, the scope of the project, and the materials selected, so use these as general starting points rather than exact figures.

Get an Ants Extermination Service Quote

Ants Extermination - Local pest control providers offer specialized services to eliminate ant colonies and prevent future infestations in residential and commercial properties.

Ants Baiting and Trapping - Service providers utilize baiting and trapping techniques to effectively reduce ant populations and minimize disruption to the property.

Ants Inspection and Consultation - Professionals conduct thorough inspections to identify ant species and infestation sources, providing tailored treatment recommendations.

Ants Prevention Services - Local experts implement barrier treatments and exclusion methods to help prevent ant entry and re-infestation.

Ants Treatment for Outdoor Areas - Service providers treat gardens, lawns, and exterior structures to control ants and protect outdoor spaces.

Ants Removal for Commercial Properties - Commercial pest control specialists address ant issues in business environments, ensuring compliance and sanitation standards.

Ants Extermination Service

When evaluating local ant extermination service providers, experience is a key factor to consider. Pros with a proven track record in pest control often have extensive knowledge of ant behaviors and effective treatment methods. It’s beneficial to review their backgrounds, including how long they have been serving the Tarrant County area or neighboring communities, to gauge their familiarity with local ant species and common infestation challenges.

Clear communication and well-defined expectations are essential when working with an extermination professional. Reputable providers typically offer detailed information about their methods, what homeowners can expect during and after treatment, and any necessary preparations. This transparency helps ensure that homeowners are well-informed and comfortable throughout the process, reducing potential misunderstandings.

Additionally, reputable references and reviews can provide insights into a contractor’s reliability and quality of service. While the site introduces various local options for ant extermination, it’s important to independently verify a provider’s reputation through references or customer feedback. Effective communication and positive references often indicate a professional who values customer satisfaction and maintains a trustworthy reputation within the community.

Get an Ants Extermination Service Quote

Property owners in Tarrant County, TX use Ants Extermination Service services for practical projects around their homes and businesses. The sections below highlight everyday jobs and straightforward project options.

Ants Extermination Service
Ants Extermination Service

Ants extermination services are commonly sought by property owners in Tarrant County, TX, when they notice ant activity around their homes or businesses. Common situations include discovering trails of ants in kitchens, bathrooms, or other areas where food is stored or prepared. Property owners may also seek help if they observe ant mounds in yards or notice increased ant presence during warmer months, aiming to prevent potential infestations from spreading further inside the property.

Many property owners look for ant extermination services to address ongoing or recurring ant problems that disrupt daily routines or compromise cleanliness. In addition to visible ant activity, concerns about potential damage to structures or food supplies often lead residents and business owners to consult local pest control providers. These professionals can assess the situation and recommend appropriate treatment options to manage ant populations effectively.

Get an Ants Extermination Service Quote

How do ant extermination services work? Ant extermination services typically involve inspecting the property to identify ant colonies, applying targeted treatments to eliminate ants, and advising on measures to prevent future infestations.

Are ant extermination treatments safe for pets and children? Most professional ant treatments are formulated to be safe when applied properly; however, it is recommended to consult with local service providers about specific safety precautions for your household.

How long does an ant extermination treatment last? The duration of effectiveness varies depending on the treatment method and extent of the infestation; local pros can provide guidance on follow-up or maintenance treatments.

Can ant extermination services prevent future ant problems? Yes, many service providers offer preventative advice and treatments to help reduce the likelihood of future ant invasions.

What should I do before a scheduled ant extermination service? It is generally advised to clear the area of food and clutter, and follow any specific instructions provided by the local service provider to ensure effective treatment.

Ants Identification and Inspection - Professionals can assess the extent of ant infestations and identify ant species to determine the most effective treatment methods.

Targeted Ant Extermination Treatments - Local service providers offer various treatment options, including baiting and residual sprays, tailored to specific ant problems.

Prevention and Exclusion Strategies - Experts can advise on sealing entry points and removing attractants to help prevent future ant invasions.

Follow-up and Monitoring Services - Ongoing monitoring and follow-up treatments ensure ant problems are effectively managed and controlled over time.

Ants Extermination Service

Considering Ants Extermination Service for a property in Tarrant County, TX? The sections above highlight common project types, practical options, and details that often shape the scope of work.

When you are ready, use the quote form to share a few details about your project. Local pros can review the basics and respond with options that match what you have in mind.

Get an Ants Extermination Service Quote

Ants Extermination Quotes

Our Trusted Partners
Cantu Pest Control
Orkin
Hawx Pest Control