Local Service Overview

Get Ants Extermination Service in Colleyville, TX

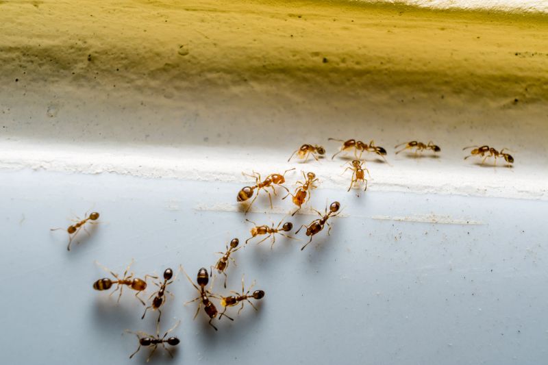
Ants extermination services for property owners in Colleyville, TX, and nearby areas address ant infestations, prevent future invasions, and handle residential and commercial ant control projects.

Colleyville, TX

Ants extermination services provide property owners in Colleyville, TX with an effective solution to prevent and eliminate ant infestations. Keeping ants out helps maintain a comfortable living environment and protects the integrity of structures by preventing damage caused by their activity. By addressing ant issues promptly, property owners can enjoy a safer, more functional space free from the nuisance and potential health concerns associated with these pests.

Engaging professional extermination services also offers benefits related to durability and reduced maintenance. Proper pest control helps preserve the appearance and condition of the property, enhancing curb appeal and reducing the need for ongoing repairs. Overall, expert ant extermination contributes to a more enjoyable, safe, and well-maintained property in the Colleyville area.

Get Ants Extermination Service Quotes

  • Ants Extermination - needed when ants invade kitchens, bathrooms, or other indoor spaces in neighborhoods around Colleyville, TX.
  • Ants Extermination - required when ants form large colonies outdoors near residential or commercial properties.
  • Ants Extermination - sought after when ants are seen foraging inside homes or businesses in nearby cities and towns.
  • Ants Extermination - necessary when ant activity persists despite DIY efforts in local residential areas.
  • Ants Extermination - essential for preventing future infestations in properties around Colleyville and surrounding communities.

Get Ants Extermination Service Quotes

Ants Extermination Service
Ants Extermination Service
Ants Extermination Service

Ants extermination services involve targeted treatments designed to eliminate ant infestations within residential, commercial, and industrial properties. These services typically include thorough inspections to identify the species of ants and locate the nests, followed by the application of specialized pest control solutions. The goal is to effectively reduce or eradicate ant populations while minimizing disruption to the property. Professionals may employ various methods such as baiting, residual sprays, or dust treatments, depending on the severity of the infestation and the specific environment.

Ant infestations can pose a variety of problems for property owners. They often lead to unsightly trails and nests that can damage structures, especially if the ants are carpenter ants that burrow into wood. Additionally, ants can contaminate food supplies and create an unhygienic environment, particularly in kitchens and food storage areas. In some cases, ant colonies can grow rapidly, making early intervention crucial to prevent larger infestations and potential property damage. Extermination services help address these issues by reducing ant populations and preventing future invasions.

Properties that typically utilize ants extermination services include single-family homes, apartment complexes, restaurants, grocery stores, and warehouses. Residential properties often seek treatment to protect food, furniture, and structural integrity from ant damage. Commercial establishments, especially those involved in food preparation or storage, prioritize pest control to maintain hygiene standards and comply with health regulations. Additionally, property managers and business owners in areas prone to ant activity frequently rely on professional pest control providers to maintain pest-free environments.

Professional ants extermination services are designed to provide long-term relief from ant problems through customized treatment plans. These services focus on identifying the source of the infestation, applying targeted solutions, and implementing preventative measures to reduce the likelihood of future invasions. By partnering with local pest control providers, property owners can effectively manage ant issues, protect their investments, and maintain a clean, pest-free environment.

The overview below groups typical Ants Extermination Service projects into broad ranges so you can see how smaller, mid-sized, and larger jobs often compare in Colleyville, TX.

In many markets, a large share of routine jobs stays in the lower and middle ranges, while only a smaller percentage of projects moves into the highest bands when the work is more complex or site conditions are harder than average.

Initial Inspection and Treatment - The cost for an initial ant inspection and treatment typically ranges from $100 to $300, depending on the property size and severity of infestation. Example costs might be around $150 for a standard residential home. Local pros can provide tailored quotes based on specific needs.

Perimeter Barrier Application - Applying a perimeter barrier to prevent ant entry usually costs between $200 and $500. For example, a homeowner in Colleyville might pay approximately $350 for a comprehensive barrier around a typical house. Prices vary based on property size and treatment scope.

Ongoing Maintenance and Follow-up - Follow-up treatments to control ant populations often range from $75 to $200 per visit. An example might be a quarterly service costing around $150 each session. The frequency and extent of treatments influence the overall costs.

Whole-Property Treatment - Complete property extermination services can cost between $300 and $800, depending on the property size and infestation level. For instance, a larger home in nearby areas might be quoted around $600 for full coverage. Costs are influenced by treatment complexity and property features.

Actual totals will depend on details like access to the work area, the scope of the project, and the materials selected, so use these as general starting points rather than exact figures.

Get an Ants Extermination Service Quote

Ants Extermination services involve professional removal of ant colonies from residential and commercial properties in Colleyville, TX and nearby areas.

Local pest control providers specializing in ants can assess infested areas and develop targeted treatment plans to eliminate colonies effectively.

Ants Extermination services often include inspections to identify entry points and nesting sites to prevent future infestations.

Contractors offering ant removal may utilize various methods such as baiting, trapping, and environmentally safe insecticides.

Expert ant exterminators can advise on preventative measures to reduce the likelihood of recurring ant issues.

Contacting local ant extermination specialists ensures tailored solutions for homes and businesses affected by ant infestations.

Ants Extermination Service

When evaluating ant extermination services in Colleyville, TX, homeowners should consider the experience of local professionals. An established provider often demonstrates a history of handling similar pest issues effectively, which can be a sign of reliable service. Reputable local pros typically showcase a track record of successful treatments and satisfied clients, providing confidence in their ability to address ant infestations efficiently. Gathering references or reviews from previous customers can offer valuable insights into a contractor’s expertise and consistency in delivering results.

Clear communication and written expectations are essential when working with ant extermination specialists. Pros who provide detailed explanations of their treatment methods, scope of work, and any necessary follow-up steps help ensure transparency throughout the process. Having well-defined expectations documented in writing can prevent misunderstandings and foster a smoother experience. Homeowners should seek providers who prioritize open dialogue and clarity, making it easier to coordinate and feel confident in the chosen service.

It is also important to consider the reputation and references of local ant extermination providers. Reputable professionals often have positive feedback from community members and can be verified through local reviews or recommendations. Reliable communication channels, whether through phone, email, or online contact forms, enable homeowners to ask questions, clarify concerns, and receive timely responses. By focusing on these aspects, homeowners can better compare local options and select a pest control provider that aligns with their needs and expectations.

Get an Ants Extermination Service Quote

Property owners in Colleyville, TX use Ants Extermination Service services for practical projects around their homes and businesses. The sections below highlight everyday jobs and straightforward project options.

Ants Extermination Service
Ants Extermination Service

Ants extermination services are commonly sought after by property owners in Colleyville, TX, who notice ant activity around their homes or businesses. Common situations include discovering ant trails in kitchens, bathrooms, or outdoor areas, which can indicate a growing infestation. Property owners may also seek professional assistance when ants become a persistent nuisance, especially if they invade food storage areas or create unsightly trails that affect the appearance of the property.

In addition to visible ant problems, property owners might pursue extermination services to prevent future infestations. This is often a proactive step taken after noticing signs of ant activity or after experiencing previous invasions. Local service providers can help identify entry points and apply targeted treatments to reduce the likelihood of recurring issues, helping to maintain a clean and pest-free environment.

Get an Ants Extermination Service Quote

How do ant extermination services work? Ant extermination services typically involve inspecting the property to identify ant colonies, applying targeted treatments to eliminate ants, and providing advice to prevent future infestations.

Are ant extermination treatments safe for pets and children? Most professional ant treatments are designed to be safe when used as directed, but it is recommended to consult with the service provider about any specific safety concerns for pets and children.

How long does an ant extermination treatment last? The duration of effectiveness varies depending on the treatment method and extent of the infestation; a local service provider can offer guidance on maintenance and follow-up treatments.

What types of ants can be eliminated with professional services? Professional extermination services can address common ant species such as odorous house ants, pavement ants, and carpenter ants, among others.

How can I prevent future ant problems? To prevent future ant issues, it is advisable to maintain cleanliness, eliminate food sources, and seek advice from local pest control professionals on ongoing prevention strategies.

Ants Extermination Solutions - Local service providers offer targeted treatments to eliminate ant infestations effectively.

Inspection and Identification - Professionals can assess property conditions to identify ant species and entry points for precise treatment.

Preventive Strategies - Experts recommend ongoing measures to reduce the likelihood of future ant problems around residential and commercial properties.

Customized Treatment Plans - Service providers develop tailored approaches based on the extent of the ant issue and specific property needs.

Ants Extermination Service

Considering Ants Extermination Service for a property in Colleyville, TX? The sections above highlight common project types, practical options, and details that often shape the scope of work.

When you are ready, use the quote form to share a few details about your project. Local pros can review the basics and respond with options that match what you have in mind.

Get an Ants Extermination Service Quote

Ants Extermination Quotes

Our Trusted Partners
Cantu Pest Control
Orkin
Hawx Pest Control